Casa Singola con Giardino a Savassa Bassa di Vittorio V.to – Spazio, Comfort e Versatilità

In vendita
Vittorio Veneto (Zona Nord)
220.000 €
Casa singola
Categoria
140
m2
6,5
Locali
2
Camere
1
Bagni
Descrizione
Sei stanco del condominio? Scopri questa casa indipendente con giardino privato!
A Savassa Bassa di Vittorio Veneto, proponiamo una luminosa casa singola in ottime condizioni, pronta per essere abitata.
L'abitazione si sviluppa su due livelli per un totale di oltre 200 mq:
Piano Rialzato (102 mq): Un accogliente ingresso conduce a un ampio salone e ad una cucina abitabile separata. La zona notte comprende due camere ed un bagno grande con doccia. Nota di valore: originariamente le camere erano tre, ed è facilmente ripristinabile la terza stanza in base alle tue esigenze.
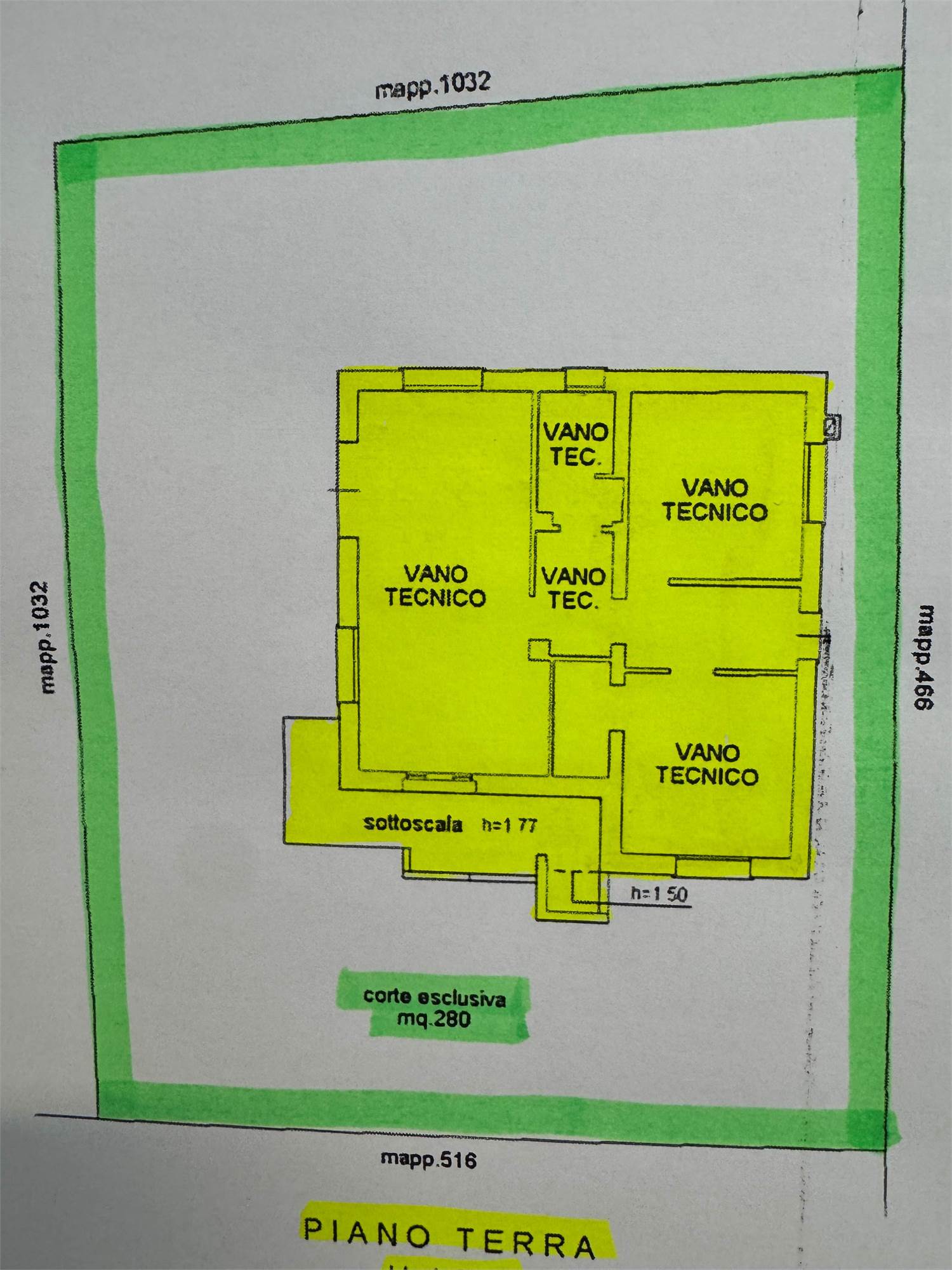
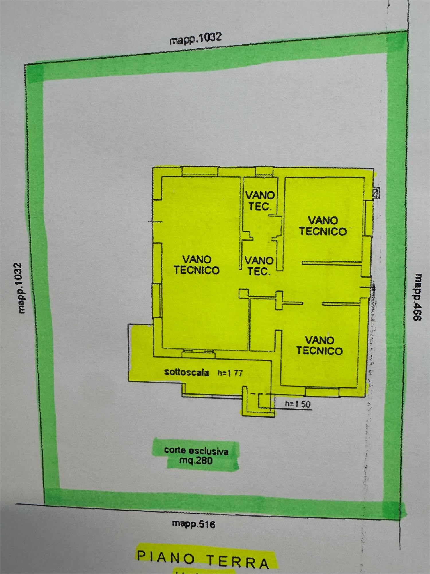
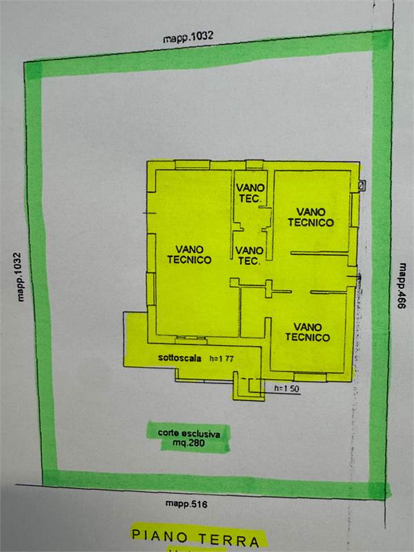
Piano Terra (102 mq): Un intero piano dedicato ai vani tecnici e di servizio, attualmente organizzato come taverna (ideale per cene in compagnia), lavanderia e ampi depositi.
Esterno: Completa la proprietà uno scoperto privato di circa 280 mq, perfetto per il relax all'aperto o per chi ha animali domestici.
Plus della casa:
Viene venduta parzialmente arredata.
Posizione strategica: a soli 2 minuti dal Centro Storico di Serravalle e a due passi dal casello autostradale di Vittorio Veneto Nord.
Ottima manutenzione generale.
Prezzo: € 220.000 trattabili, parte di arredi inclusi.
Ideale per famiglie che necessitano di locali accessori capienti.
Caratteristiche principali
Codice:
V651GZ
Città:
Vittorio Veneto (Zona Nord)
Categoria:
Casa singola
Locali:
6,5
Camere:
2
Bagni:
1
Mq:
140
Mq Giardino:
280
Terrazzi:
1
Anno ristrutturazione:
2014
Classe energetica:
G
Stato Immobile:
Ottimo
Panorama:
Vista Aperta
Orientamento:
Nord Ovest Sud Est
Lati Liberi:
4
Giardino:
Privato
Arredi:
Semi Arredato
Tipo Soggiorno:
Soggiorno
Tipo Cucina:
Abitabile
Riscaldamento:
Autonomo
Tipo Riscaldam.:
Caldaia a Condensazione
Tipo Impianto:
Radiatori
Fonte Energetica:
Metano
Accessori
Camino
Cancello Elettrico
Doppi Vetri
Lavanderia
Passaggio Automobilistico
Ripostiglio
Stufa a Pellet
Tavolini Esterni
Zanzariere
Cookie preference